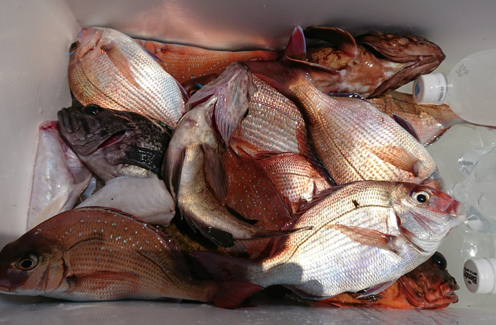
7月8日(土)一つテンヤ💡 2017年7月8日 本日の釣果 7月8日(土)一つテンヤで出船しました☺️ 全体を通してアタリは多く、外道もそれなりに掛かり、楽しめました✨ 真鯛はいい人10尾位、その他リリース多数でした。サイズは小さいのばかりで、残念でした😢 その他、ムラソイ、メバル、ヒラメなどなどでした☺️ アーカイブ 月を選択 2025年12月 2025年11月 2025年10月 2025年9月 2025年8月 2025年7月 2025年6月 2025年5月 2025年4月 2025年3月 2025年2月 2025年1月 2024年12月 2024年11月 2024年10月 2024年9月 2024年8月 2024年7月 2024年6月 2024年5月 2024年4月 2024年3月 2024年2月 2024年1月 2023年12月 2023年11月 2023年10月 2023年9月 2023年8月 2023年7月 2023年6月 2023年5月 2023年4月 2023年3月 2023年2月 2023年1月 2022年12月 2022年11月 2022年10月 2022年9月 2022年8月 2022年7月 2022年6月 2022年5月 2022年4月 2022年3月 2022年2月 2022年1月 2021年12月 2021年11月 2021年10月 2021年9月 2021年8月 2021年7月 2021年6月 2021年5月 2021年4月 2021年3月 2021年2月 2021年1月 2020年12月 2020年11月 2020年10月 2020年9月 2020年8月 2020年7月 2020年6月 2020年5月 2020年4月 2020年3月 2020年2月 2020年1月 2019年12月 2019年11月 2019年10月 2019年9月 2019年8月 2019年7月 2019年6月 2019年5月 2019年4月 2019年3月 2019年2月 2019年1月 2018年12月 2018年11月 2018年10月 2018年9月 2018年8月 2018年7月 2018年6月 2018年5月 2018年4月 2018年3月 2018年2月 2018年1月 2017年12月 2017年11月 2017年10月 2017年9月 2017年8月 2017年7月 2017年6月 2017年5月 2017年4月 2017年3月 2017年2月 2017年1月 2016年12月 2016年11月 2016年10月 2016年9月 2016年8月 2016年7月 2016年6月 2016年5月 2016年4月 2016年3月 2016年2月 2016年1月 2015年12月 2015年11月 2015年10月 2015年9月 2015年8月