7月11日(火)午前午後テンヤ真鯛に出船しました🙆
午前便は、朝のうちアタリ多くてバッチリ⤴️残念なのは小型ばっかりだったこと😵最大でも0.8kgほどですかね😅
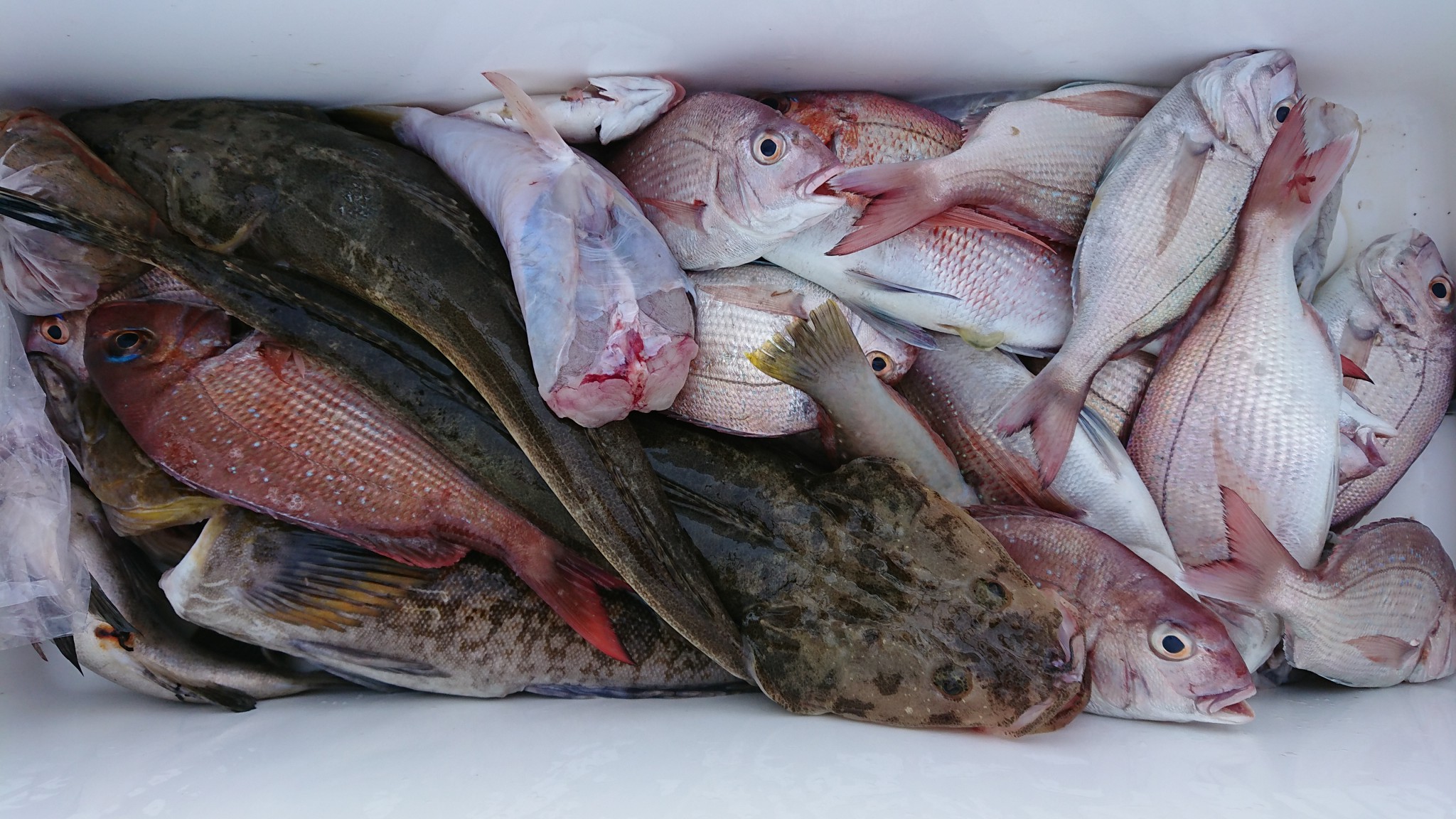
その後はポツポツ拾い釣りな感じでした。外道はスズキ、ヒラメ、アイナメ、メバル、フグなど多彩でした🙆真鯛は小型ですが10~15尾✨
遊べますよ~😃
午後もテンヤ真鯛に出船しました☺️
午後はアタリは少なく、午前のようにはいかなかったですが、フグ、アイナメ、マゴチなどの外道は少し掛かりました🙆
7月11日(火)午前午後テンヤ真鯛に出船しました🙆
午前便は、朝のうちアタリ多くてバッチリ⤴️残念なのは小型ばっかりだったこと😵最大でも0.8kgほどですかね😅
その後はポツポツ拾い釣りな感じでした。外道はスズキ、ヒラメ、アイナメ、メバル、フグなど多彩でした🙆真鯛は小型ですが10~15尾✨
遊べますよ~😃
午後もテンヤ真鯛に出船しました☺️
午後はアタリは少なく、午前のようにはいかなかったですが、フグ、アイナメ、マゴチなどの外道は少し掛かりました🙆