5月2日(水)テンヤ真鯛で出船しました🙋
今日は昨日とは変わって、良い感じでしたね☺️
アタリは少ないものの、1.7kg,1.7kg,1.2kgの良型ゲット~🙆他にも手のひら~0.8kgサイズがポツリポツリ出ました😃
外道はアイナメ、イナダ、カサゴ、ソイ等でした☀️
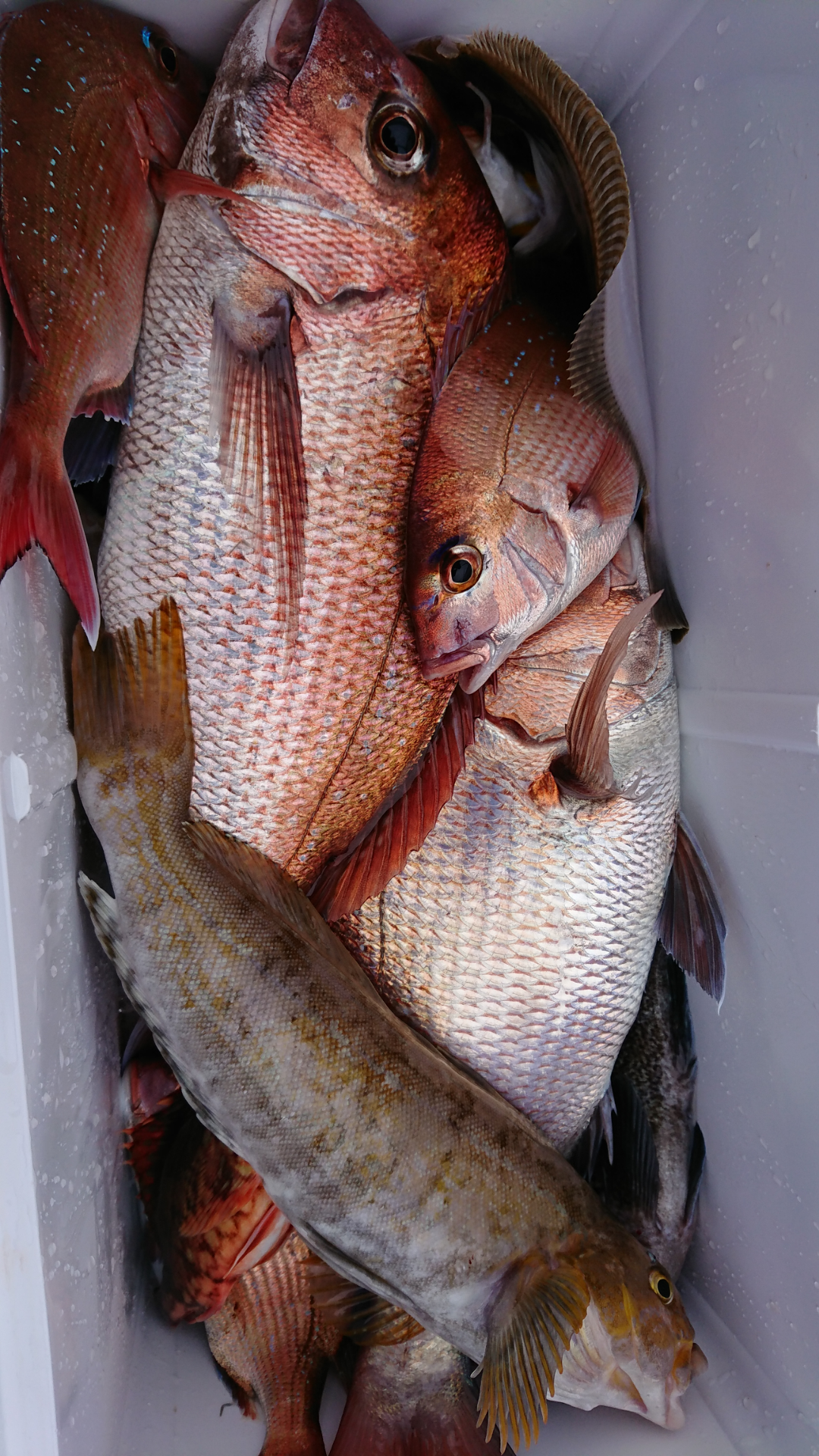
5月2日(水)テンヤ真鯛で出船しました🙋
今日は昨日とは変わって、良い感じでしたね☺️
アタリは少ないものの、1.7kg,1.7kg,1.2kgの良型ゲット~🙆他にも手のひら~0.8kgサイズがポツリポツリ出ました😃
外道はアイナメ、イナダ、カサゴ、ソイ等でした☀️